Lost and found: reimagining the architecture of the in-between spaces of Oslo
This project is an investigation of leftover spaces in Oslo. Through an analysis of their past and present, and a speculation for their future, the aim is to shed light on these often overlooked spaces and look at them through a different lens – one that utilizes architecture to contribute to a more public and non-commercial Oslo.
Through small-scale architectural interventions, the project focuses on seven “in-between spaces” — pockets of the city that are frequently passed through but not so often thought about. The backbone of the project is the attempt to combine the needs of the citizens (animals as well) with the public space. Through looking at what already exists in the space; structures, urban objects, trees, plants, surfaces and infrastructures, and three different strategies; maintaining, transforming, and curating, the project imagines an Oslo that makes more room for public spaces.
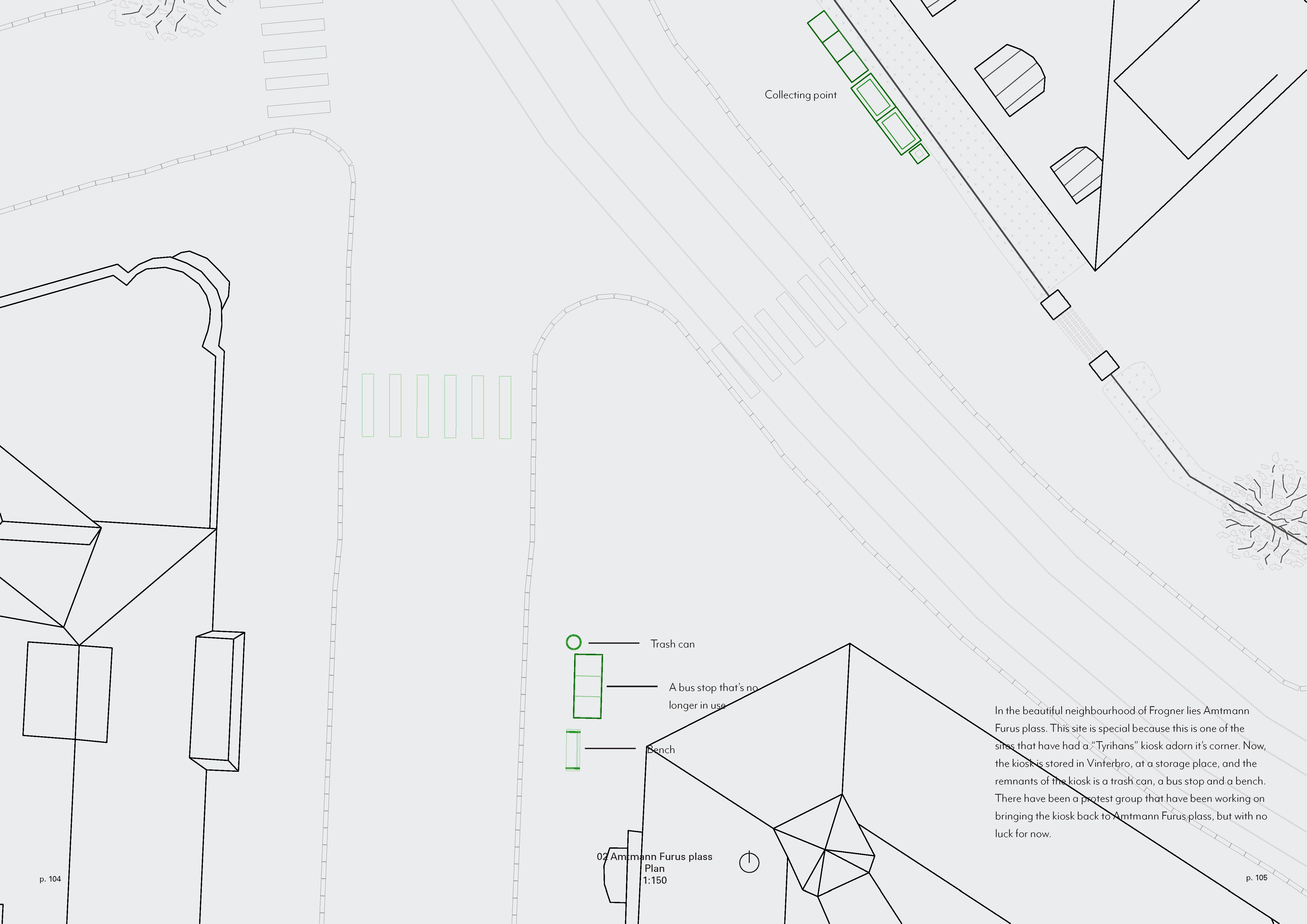
As a starting point, I studied the past and present life of the demolished freestanding kiosks of Oslo. I then became interested in the architecture of the street; small structures like public toilets, urinal stalls, telephone booths and ticket offices, and urban objects like benches, lampposts and bollards. When the city lost its kiosks, drinking fountains and urinal stalls, brief interactions and the sense of care for the human-scale also became absent. It creates a more fragmented urban experience, where basic needs are often tied to commercial spaces, limiting who can fully participate in the public Oslo.
The project developed from being only about the kiosks to being about the everyday things that meet us everyday on the street. Through model-making, drawing, sketching and studying references, as well as the history of the different sites and structures, I have explored the objects of the public space, how we can rethink them, and the different ways inclusivity can manifest as
architecture of the city.
- Hege Martine Socha Suyoto Wollan_Binder 1_Page_50.jpgjpg
- Hege Martine Socha Suyoto Wollan_Binder 1_Page_01.jpgjpg
- Hege Martine Socha Suyoto Wollan_Binder 1_Page_02.jpgjpg
- Hege Martine Socha Suyoto Wollan_Binder 1_Page_03.jpgjpg
- Hege Martine Socha Suyoto Wollan_Binder 1_Page_04.jpgjpg
- Hege Martine Socha Suyoto Wollan_Binder 1_Page_05.jpgjpg
- Hege Martine Socha Suyoto Wollan_Binder 1_Page_06.jpgjpg
- Hege Martine Socha Suyoto Wollan_Binder 1_Page_07.jpgjpg
- Hege Martine Socha Suyoto Wollan_Binder 1_Page_08.jpgjpg
- Hege Martine Socha Suyoto Wollan_Binder 1_Page_09.jpgjpg
- Hege Martine Socha Suyoto Wollan_Binder 1_Page_10.jpgjpg
- Hege Martine Socha Suyoto Wollan_Binder 1_Page_11.jpgjpg
- Hege Martine Socha Suyoto Wollan_Binder 1_Page_12.jpgjpg
- Hege Martine Socha Suyoto Wollan_Binder 1_Page_13.jpgjpg
- Hege Martine Socha Suyoto Wollan_Binder 1_Page_14.jpgjpg
- Hege Martine Socha Suyoto Wollan_Binder 1_Page_15.jpgjpg
- Hege Martine Socha Suyoto Wollan_Binder 1_Page_16.jpgjpg
- Hege Martine Socha Suyoto Wollan_Binder 1_Page_17.jpgjpg
- Hege Martine Socha Suyoto Wollan_Binder 1_Page_18.jpgjpg
- Hege Martine Socha Suyoto Wollan_Binder 1_Page_19.jpgjpg
- Hege Martine Socha Suyoto Wollan_Binder 1_Page_20.jpgjpg
- Hege Martine Socha Suyoto Wollan_Binder 1_Page_21.jpgjpg
- Hege Martine Socha Suyoto Wollan_Binder 1_Page_22.jpgjpg
- Hege Martine Socha Suyoto Wollan_Binder 1_Page_23.jpgjpg
- Hege Martine Socha Suyoto Wollan_Binder 1_Page_24.jpgjpg
- Hege Martine Socha Suyoto Wollan_Binder 1_Page_25.jpgjpg
- Hege Martine Socha Suyoto Wollan_Binder 1_Page_26.jpgjpg
- Hege Martine Socha Suyoto Wollan_Binder 1_Page_27.jpgjpg
- Hege Martine Socha Suyoto Wollan_Binder 1_Page_28.jpgjpg
- Hege Martine Socha Suyoto Wollan_Binder 1_Page_29.jpgjpg
- Hege Martine Socha Suyoto Wollan_Binder 1_Page_30.jpgjpg
- Hege Martine Socha Suyoto Wollan_Binder 1_Page_31.jpgjpg
- Hege Martine Socha Suyoto Wollan_Binder 1_Page_32.jpgjpg
- Hege Martine Socha Suyoto Wollan_Binder 1_Page_33.jpgjpg
- Hege Martine Socha Suyoto Wollan_Binder 1_Page_34.jpgjpg
- Hege Martine Socha Suyoto Wollan_Binder 1_Page_35.jpgjpg
- Hege Martine Socha Suyoto Wollan_Binder 1_Page_36.jpgjpg
- Hege Martine Socha Suyoto Wollan_Binder 1_Page_37.jpgjpg
- Hege Martine Socha Suyoto Wollan_Binder 1_Page_38.jpgjpg
- Hege Martine Socha Suyoto Wollan_Binder 1_Page_39.jpgjpg
- Hege Martine Socha Suyoto Wollan_Binder 1_Page_40.jpgjpg
- Hege Martine Socha Suyoto Wollan_Binder 1_Page_41.jpgjpg
- Hege Martine Socha Suyoto Wollan_Binder 1_Page_42.jpgjpg
- Hege Martine Socha Suyoto Wollan_Binder 1_Page_43.jpgjpg
- Hege Martine Socha Suyoto Wollan_Binder 1_Page_44.jpgjpg
- Hege Martine Socha Suyoto Wollan_Binder 1_Page_45.jpgjpg
- Hege Martine Socha Suyoto Wollan_Binder 1_Page_46.jpgjpg
- Hege Martine Socha Suyoto Wollan_Binder 1_Page_47.jpgjpg
- Hege Martine Socha Suyoto Wollan_Binder 1_Page_48.jpgjpg
- Hege Martine Socha Suyoto Wollan_Binder 1_Page_49.jpgjpg
- Hege Martine Socha Suyoto Wollan_Binder 1_Page_50.jpgjpg
- Hege Martine Socha Suyoto Wollan_Binder 1_Page_51.jpgjpg
- Hege Martine Socha Suyoto Wollan_Binder 1_Page_52.jpgjpg
- Hege Martine Socha Suyoto Wollan_Binder 1_Page_53.jpgjpg
- Hege Martine Socha Suyoto Wollan_Binder 1_Page_54.jpgjpg
- Hege Martine Socha Suyoto Wollan_Binder 1_Page_55.jpgjpg
- Hege Martine Socha Suyoto Wollan_Binder 1_Page_56.jpgjpg
- Hege Martine Socha Suyoto Wollan_Binder 1_Page_57.jpgjpg
- Hege Martine Socha Suyoto Wollan_Binder 1_Page_58.jpgjpg
- Hege Martine Socha Suyoto Wollan_Binder 1_Page_59.jpgjpg
- Hege Martine Socha Suyoto Wollan_Binder 1_Page_60.jpgjpg
- Hege Martine Socha Suyoto Wollan_Binder 1_Page_61.jpgjpg
- Hege Martine Socha Suyoto Wollan_Binder 1_Page_62.jpgjpg
- Hege Martine Socha Suyoto Wollan_Binder 1_Page_63.jpgjpg
- Hege Martine Socha Suyoto Wollan_Binder 1_Page_64.jpgjpg
- Hege Martine Socha Suyoto Wollan_Binder 1_Page_65.jpgjpg
- Hege Martine Socha Suyoto Wollan_Binder 1_Page_66.jpgjpg
- Hege Martine Socha Suyoto Wollan_Binder 1_Page_67.jpgjpg
- Hege Martine Socha Suyoto Wollan_Binder 1_Page_68.jpgjpg
- Hege Martine Socha Suyoto Wollan_Binder 1_Page_69.jpgjpg
- Hege Martine Socha Suyoto Wollan_Binder 1_Page_70.jpgjpg
- Hege Martine Socha Suyoto Wollan_Binder 1_Page_71.jpgjpg
- Hege Martine Socha Suyoto Wollan_Binder 1_Page_72.jpgjpg
- Hege Martine Socha Suyoto Wollan_Binder 1_Page_73.jpgjpg
- Hege Martine Socha Suyoto Wollan_Binder 1_Page_74.jpgjpg
- Hege Martine Socha Suyoto Wollan_Binder 1_Page_75.jpgjpg
- Hege Martine Socha Suyoto Wollan_Binder 1_Page_76.jpgjpg
- Hege Martine Socha Suyoto Wollan_Binder 1_Page_77.jpgjpg
- Hege Martine Socha Suyoto Wollan_Binder 1_Page_78.jpgjpg
- Hege Martine Socha Suyoto Wollan_Binder 1_Page_79.jpgjpg
- Hege Martine Socha Suyoto Wollan_Binder 1_Page_80.jpgjpg
- Hege Martine Socha Suyoto Wollan_Binder 1_Page_81.jpgjpg
- Hege Martine Socha Suyoto Wollan_Binder 1_Page_82.jpgjpg
- Hege Martine Socha Suyoto Wollan_Binder 1_Page_83.jpgjpg
- Hege Martine Socha Suyoto Wollan_Binder 1_Page_84.jpgjpg
- Hege Martine Socha Suyoto Wollan_Binder 1_Page_85.jpgjpg
- Hege Martine Socha Suyoto Wollan_Binder 1_Page_86.jpgjpg
- Hege Martine Socha Suyoto Wollan_Binder 1_Page_87.jpgjpg
- Hege Martine Socha Suyoto Wollan_Binder 1_Page_88.jpgjpg
- Hege Martine Socha Suyoto Wollan_Binder 1_Page_89.jpgjpg